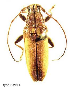
Tmesisternus obsoletus es una especie de escarabajo del género Tmesisternus, familia Cerambycidae.[1] Fue descrita científicamente por Blanchard en 1853.[1]
Habita en Nueva Guinea Occidental.[1] Esta especie mide 15-18 mm.[1]
Referencias





Tmesisternus obsoletus es una especie de escarabajo del género Tmesisternus, familia Cerambycidae.[1] Fue descrita científicamente por Blanchard en 1853.[1]
Habita en Nueva Guinea Occidental.[1] Esta especie mide 15-18 mm.[1]




